DO
DOについて
多くの廃水処理施設に於いて処理障害が多発していますが、特に生活排水系よりも産業系廃水がその多くを占めています。
この根本的原因は
- 負荷算定の誤り
- DO(溶存酸素)の取扱い
- 活性汚泥の性質の認識不足
BOD5日は本当の負荷ではなく、実際の負荷はBOD20日で測定すべきでありますが、これは公共下水道のようにSSの多くが無機質であれば問題ありませんが、工場廃水ではSSの多くが有機質であり且つ溶解性であることに由来する、施設の多くは概ねBOD5日の1.3倍〜2倍のBOD負荷がかかっています。
DOは溶存酸素であり、活性汚泥が利用し尽くした後の余りの、余存酸素ではない、真に酸素が足りているか否かは「酸素消費速度」を測定するか「顕微鏡観察」によるしか術が無い。
一部の研究者の間では、活性汚泥が粘性物質(アラビノースやマンノース等の高分子多糖類)を異常代謝することが知られており、これがバルキングや発泡など多くのトラブルの原因となっているのでありますが、廃水処理の現場では認識されていないのが実情であります。
廃水の性状が活性汚泥に与える影響は無視できないが、前述の三点を解決しない限り処理障害から脱却することはできないので最優先課題であり、本論文ではこれらの原因解決策と対処法を設計と運転管理の立場から述べています。
DO管理の問題点
生活系の排水処理施設においては、DOを管理指標としても特に問題になることは少ない、これは生活系の排水のSSは産業系の廃水と比較してSSがBODに置換する比率が少なく、BOD5日とBOD20日の差が小さい為である、下記に表を示す。
| 原水比較 | 生活系排水 | 産業系廃水 | 参考 |
| BOD5日 | 120〜240mg/ℓ | 800〜3,000mg/ℓ | 弊社データ比較 |
| BOD20日 | 200〜400mg/ℓ | 2,200〜6,500mg/ℓ | 弊社データ比較 |
| SS | 100〜200mg/ℓ | 350〜1,200mg/ℓ | 弊社データ比較 |
| 負荷変動 | 小さい | 大きい | 弊社データ比較 |
しかしながら、産業系廃水処理施設においては、BOD5日とBOD20日の差が大きい為に、活性汚泥が過負荷な環境に置かれることが多く、そのような環境下で活性汚泥は粘性物質(高分子多糖類、又は寒天質と言う)を異常代謝して、BOD(栄養)もDO(酸素)も摂取しなくなる場合があります。このような状況下においてDO(溶存酸素)を計測すると値が高く検出されますが、これはDOが余っているのではなく、活性汚泥が利用しないだけなのであります。この一連の生物反応や粘性度合いを計測出来るセンサーがあれば良いのですが、現在は有りません。顕微鏡観察や酸素吸収速度などで調べるしか手段が有りません。
処理状態とDO(溶存酸素)
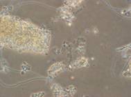
我々は、長年にわたり顕微鏡観察により活性汚泥の健康状態、粘性物質の異常代謝や糸状菌の発生及び増殖状況などをチェックして廃水処理施設の活性汚泥を飼育管理しております。活性汚泥がどのような状態でDO(溶存酸素)を摂取しなくなるのか、下記にその時のデータと顕微鏡観察結果(写真1-1)〜(写真6-6)を示します。
醸造工場のやや良い処理状態で、水温20℃、DOは、AT1 6.6mg/ℓ AT2 6.2mg/ℓ
(写真1-1)×100
フロック 概ね良7:3悪
収縮90%、ズーグレア10%
(写真1-2)×100 暗視野
水層部に異物あり
(写真1-3)×400 同左
分散菌と鞭毛虫と浮遊寒天
醸造工場の悪い処理状態で、水温9.4℃、DOは、AT1 12.8mg/ℓ AT2 12.8mg/ℓ 過飽和
(写真2-1)×100
過負荷でズーグレア多量
フロック腐敗
(写真2-2)×100 暗視野
水層部に異物多量
(写真2-3)×400 同左
分散菌と鞭毛虫と浮遊寒天と糸状菌の切れ端
全て過負荷で酸欠の相
牛乳工場のやや良い処理状態で、水温26.4℃、DOは、AT1 6.3mg/ℓ AT2 4.8mg/ℓ
(写真3-1)×100
フロック 良7:3悪
前回より活力が出ています
及第点です
(写真3-2)×100 暗視野
水層部は綺麗
(写真3-3)×400 同左
螺旋菌元気なし(空気充足傾向)空気は絞らないで下さい
牛乳工場のやや悪い処理状態で、水温29.3℃、DOは、AT1 12.0mg/ℓ AT2 11.0mg/ℓ 過飽和
(写真4-1)×100
フロック 良5:5悪
やや粘性分散
(写真4-2)×100 暗視野
水層部は綺麗だが粘性吸着あり
(写真4-3)×100
変質性フロック
些細な事で悪化する
活性度の低い汚泥
このように、活性汚泥の活力が落ちるとDO(溶存酸素)の値が高くなる傾向にありますが、これを詳しく観察すると粘性物質(寒天質)が原因であることが判ります。
(写真5-1)×100
(写真5-2)×100
(写真5-3)×100
(写真5-1)〜(写真5-3)はそれぞれズーグレアが観察出来ますが、徐々に菌体が減少して寒天質が鮮明になっていくのが判ります。ズーグレアは活性汚泥が異常代謝した粘性物質(寒天質)に菌体が内包されたものであり、この寒天質の内部には溶存酸素も栄養素も入ることが出来ないと考えられています。
さらに粘性物質(寒天質)が溶けて来ますとこれがより顕著になり(写真6-1)〜(写真6-6)
(写真6-1)×100
(写真6-2)×400
(写真6-3)×400
(写真6-4)×400
(写真6-5)×400
(写真6-6)×400
このようにして粘性物質(寒天質)は徐々に溶けて一部は処理水と共に系外に排出され、一部は活性汚泥の栄養源(BOD)となります。
つまり、DO(溶存酸素)は必ずしも活性汚泥が利用し尽くした後の、余った余存酸素とは限らない、のであります。これを見極めないでDOを管理指標と致しますと、未処理や発泡、粘性バルキングや糸状性バルキングの処理障害を引き起こすことになります。
又、この粘性物質(アラビノースやマンノース等の高分子多糖類)を強制的にフロックから剥離溶解させて、粘性バルキングを治療及び予防するにはベスト-Nが極めて効果的であり、活性汚泥の呼吸活性を高めて活性汚泥フロックの改質を促進します。
又、硫化物やシアン、亜硝酸等の毒性耐性菌や難分解物資化細菌の増殖促進にはベスト-Gが最も有効である
